3388 County Road 428Stephenville, TX 76401




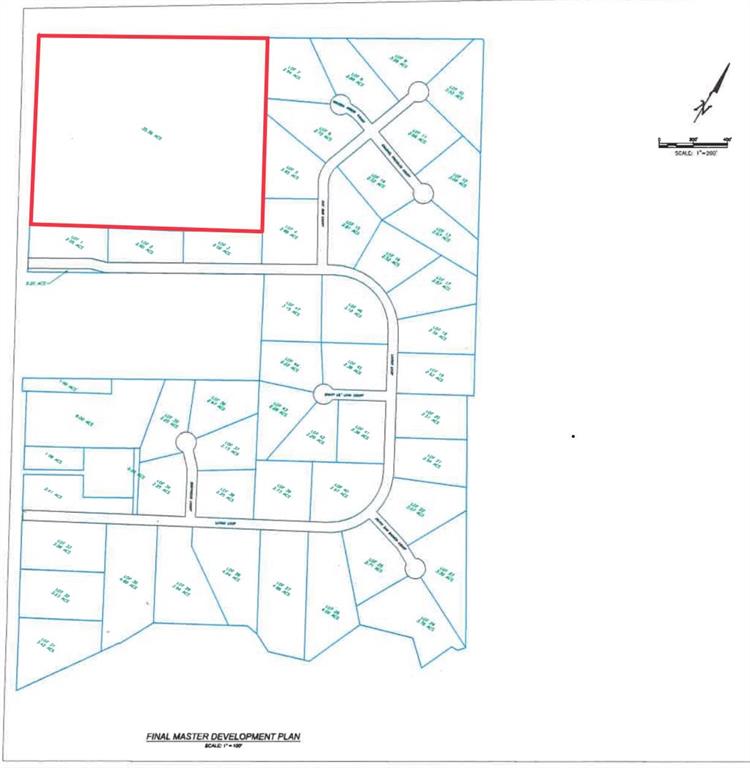
Welcome to everything the Cowboy Capital of the World embodies on this 35 acre restricted Huckabay ISD retreat. Be the fundamental lead to a brand new development, and operate a horse motel, stable or training center for the upcoming Palomino Run Development, a planned, horse friendly community convenient to both I20 and Stephenville. Nestled among sprawling acreage farms, this property includes 2 covered 3400 sq ft barns that could easily be converted to horse stalls or hay storage, covered holding pens, a commodity barn, 3 phase electricity, hay sheds, water well and majority of perimeter fence in place. Embrace the elevation opportunities by building your dream home on top of the hill and enjoy views for miles. This is a rare opportunity to be the first and largest land owner within the boundaries of an upcoming subdivision. Additional acreage available. Call to schedule your private showing today!
| a month ago | Listing updated with changes from the MLS® | |
| 2 months ago | Listing first seen on site |
© 2020 North Texas Real Estate Information Systems. All rights reserved. Information is deemed reliable but is not guaranteed accurate by the MLS or NTREIS. The information being provided is for the consumer's personal, non-commercial use, and may not be reproduced, redistributed, or used for any purpose other than to identify prospective properties consumers may be interested in purchasing.
Last checked: 2026-02-05 08:32 PM CST

Did you know? You can invite friends and family to your search. They can join your search, rate and discuss listings with you.